釜ヶ崎総合年表−1950年代
大阪市、昭和25年以来、市社会福祉協議会とタイアップして老人クラブの設置を提唱、その助成に努める。
今後の生産年齢人口の増加を考慮すれば、経済の発展に伴う雇用に期待しても、すでに稼働能力の減退した老齢者の雇用の途はけわしく、むしろ定年制の強化がみられ、失業対策事業から高齢者を排除しようという方向さえあって、−しかも、近年のわが国における人口動態を見るに、近代医学の進歩と公衆衛生の普及によって国民は年々かなりの比率で伸長し、これにともない老齢人口は、絶対数においても国民全体に占める割合においても著しい増加の傾向を示している。かくて、老齢問題はもはや一部の貧困老人の問題としてではなく、老人全体の問題として社会的にも経済的にも重要性を帯びるに至った。(民生事業40年史)
1950(昭和25)年
- 全国未亡人団体協議会 結成。
- 1月10日 西成署管内浮浪者収容
- 1月16日 外国人登録証明書が全国統一の書式となる
- 従来各府県毎に異なっていた外国人登録証明書が昭和23年12月3日の政令で全国統一の新しい証明書に切り替えられ、この事務は昭和25年1月16日より31日までの間に全国一斉に行われた/大阪市は1月末現在切替率95%という全国的にも優秀な成績を収めた。3月末日現在新登録書の発給を受けた大阪市登録者数は68,216人であった。(大阪市政年鑑・昭和25年版)
- 1月 大阪市労務局「「民生事務必携」掲載施設一覧
- ▲表中「自光館」は???????。自彊館は「西今船」なのだが?西入船とすれば「四恩学園」の中にあったということか。だとすれば、自彊館が見えない理由は???
- 3月 大阪市 授産場規則 改正
- 授産場は「生活保護法により保護を受ける世帯その他生活費の補助を必要とする世帯に対し、適当な仕事の仲介、斡旋、指導、授職または授産の場所もしくは機会を与えることにより、勤労収入を得させて、その世帯の生活の向上に資することを目的と」し、
- 従事資格は「本市内に居住し義務教育を修了した者で」かつ「1.生活保護法による保護を受けている世帯員。2.未亡人、遺家族および留守家族等で一般の職業につくことがのできないもの。3.老人。4.身体障害者。5.軽度の疾病患者および全快者で一般の職業につくことができないもの。6.一定の収入のないものおよび少額所得者等の家族で一般の職業につくことがのできないもの。」のいずれかに該当する者。これとともに、授産場は生活保護法によるもの(北市民館授産場)と社会事業法によるもの(その他の授産場)の二本立てとされた。実際には、80%は被保護者、20%は要援護者を収容して極力施設の能力を発揮するようつとめた。(民生事業40年史)
- 4月1日 身体障害者福祉法 施行(公布は24年12月26日)
- 「身体障害者の更生を援助し、その更生のために必要な保護を行い、もって身体障害者の福祉を図ることを目的」とする。対象となるのは18才以上の者であって、原因の如何を問わず、視力・聴力・言語機能・中核神経機能の障害あるいは肢切断・肢体不自由などのため職業能力が損傷ないし制限されている者。(民生事業40年史)
- 5月 長柄宿泊所の一部を長柄寮として開設
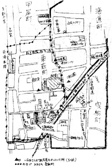
- 5月 阿倍野公共職業安定所西成労働出張所、甲岸町から東萩町に移転
(『業務概況阿倍野−昭和38年版』阿倍野公共職業安定所)
。
- この頃の東萩町の様子
- 「東萩町 ちょっと昔の四方山話」(労務者渡世37号―1983年5月)から紹介。
- ―富士ホテルの裏手に紙芝居の絵をかく人や紙芝居屋さんがいっぱいおったで。戦争、終わってからや。(近所のおばさん)
- 塩崎さんは西成区花園南で、三邑会という紙芝居の絵元を続けている。194年頃、今の松村食堂のある通りに三邑会の支部があった。紙芝居が一番盛んだった頃の話だ。支部は、紙芝居を絵元から借り、菓子の仕入れもまとめてする。20
人ほどの紙芝居屋が支部から出ていたという。
- 支部をやりながら、紙芝居用の酢昆布を作る昆布屋を兼業にしていたおじさんもいた。そのおじさんにも5
〜6
人の子どもがいたという。
- ―乳母車に舞台と自分の子どもをのせてまわっている女の紙芝居屋さんもいてたよ。(塩崎の奥さん)
- 塩崎さんの家でも飴を作っていた。―お正月になったら、背中に刀みたいなアメさして、紙芝居屋さん、出ていってんで。お金で売るんやのうて、懸賞にあたったらあげるアメや。(塩崎の奥さん)
―昔はたくさん紙芝居屋がいた。朝の9時半位から、夜も9時すぎまでやっていた。必死だったよ。一日10ヶ所はまわったな。 戦後、紙芝居が一番盛んだった頃、西成区だけで、10軒余りの紙芝居の貸元があったという。
- 私の家の東の窓を開けると平屋のトタン屋根が並ぶ。
- ―あすこの家のオバちゃんたち、アメを紙につつむ内職やテレビの部品をつくる内職、みんなやってたよ。 永井モータープールも元アメやさん。今は、育和といってゲーム機を作っている作業所もアメやだった。えびせんを作っている家があった。今みたいにアスファルトの道と違う、土やったから焚き火で焼イモ、やいた。アメやで、紙の上にオブラートを敷き、アメつつむのを手伝って、アメもらった。榊原の牛乳屋のいちじく、取って食べた。
- 5月1日 大阪市 全市を9ブロックに分ける「民生安定所」設置案報告書
- 専門職員を配置。福祉3法事務の実施機関を確立。(参考:「民生安定所の設置に関する報告」昭和25年5月 大阪市民生局刊)
- 5月1日 大阪市 生業資金貸付事業再開
- 基金1,055万円
- 5月4日 新生活保護法 公布即日施行
- 生存権を具体的に保護請求権として明らかにし、それを実際に生かすように不服申立制度を規定。ほかに、(1)基本原理として憲法25条の理念の具体化、保護請求権、最低生活の定義、保護の補足性を掲げたこと。(2)保護の原則として、申請主義、保護の基準および程度、必要即応、世帯単位等を原則としたこと。(3)保護の種類に住宅扶助、教育扶助を加えたこと。(4)保護の補助機関を社会福祉主事、協力機関を民生委員としたこと。(5)被保護者の権利義務を定めたこと。等が特徴。(「日本の救貧制度」日本社会事業大学救貧制度研究会編320頁)
- 5月15日 社会福祉主事設置に関する法律 公布
- 生活保護法・児童福祉法・身体障害者福祉法の施行について補助することとされ、社会福祉一般の専門職員制度が確立された。
- 6月1日 外食券なしで米以外の主食(そば、うどん、パン)の販売自由化
- 6月1日 朝鮮戦争勃発
- 7月31日 衆議院厚生委員会議事録 8号
- 失対事業と生活保護の論議が面白い
- 8月 大阪市 知識層失業対策応急救済事業を実施
- 失業対策事業とは別に、独自の計画と予算で実施されたもの。当時は約500名が各局に配属され事務補助などに従事したが、ジェーン台風による実行予算の減額にともない、同年11月には230名に減ずるのやむなきにいたった。(民生事業40年史)
- 9月3日 ジェーン台風
- 瞬間風速44m/s、O.P.3.85mの高潮をともない、全市の21%に相当する40キロuを浸水せしめ、家屋の被害は、床上浸水41,035戸、床下浸水25,073戸、全半壊45,388戸(民生事業40年史)
- 9月 6大都市共同の日雇労働者稼働および収入実態調査 実施
- 昭和27年以降は労働省により毎年1回 日雇労働者生活実態調査が実施されることとなる。(民生事業40年史)
- 11月17日 大阪自彊館 本館講堂において西成地区保護司研究会
- 「麻薬患者の取り扱いについて」及び近畿更生保護会連盟発会式を開催
- 12月1日 大阪市 保護施設を更生施設と授産施設にわけ、それぞれ条例を制定
- 当時の「し尿」の取り扱い状況
- 昭和25年度の全市排出推定量は日量10,630石であって、僅少の直営地域を除く大部分の汲み取り処分は警察署管区毎に結成している26の清掃業組合に請け負わせて、市は人頭制によるによる作業交付金を組合に交付しているが、昭和25年度の推定汲み取り戸数は359,100戸、その汲み取り日量は8,920石である。/最近化学肥料の出回りと農作物価の下落等によって、農村のし尿受け入れが減少しつつある現状であるので、25年度は、市の汲み取り日量8,920石のうち府下農村に5,920石(66%)下水流注に2,450石(27%)、府外農村に550石(7%)を処分するように計画している。/し尿の需要度の高かった終戦直後し尿の公平配給と価格の調整を図るため大阪府し尿配給条例にもとずいて大阪府し尿配給協議会を設置して企画調整を行ってきたが、昭和25年4月以降はこの機構の存続が不必要となったので、これを廃止し、これに代わる大阪市し尿処理規則等を制定したが、市長の諮問機関として大阪市し尿農村配給協議会を設置し、し尿の農村配給の円滑を期した。(大阪市政年鑑・昭和25年版)
- 9月1日 現在 大阪市路面電車・バス・地下鉄 運転路線図
1951(昭和26)年
- 昭和26年頃から親睦団体として「西成宿屋組合」が結成される。(簡宿組合20年の歩み)
- 1月25日 大阪自彊館 職業安定法に基づき無料労働紹介事業の認可を受ける
- 2月3日 大阪自彊館 無料労働紹介所 開所
- 2月15日 大阪府未亡人協議会 結成
- 3月 今宮質舗 復旧
- 3月26日 社会福祉事業法 公布
- 社会福祉事業の趣旨を規定し種類を分け、公私の関係を明らかにした外、福祉地区、福祉事務所、社会福祉主事等公的扶助関係のことと共に、社会福祉法人、施設の最低基準、社会福祉協議会、共同募金会等を規定している。
- 4月 西成区政誌 大阪市西成区役所 1951(昭和26)年4月1日(部分)刊
- ▲「西成区政誌」所収の土地区画整理萩之茶屋工区地図。
- ▲戦災土地区画整理事業計画図。現況に計画道路が重ねて描かれている。
- ▲新街区を赤、旧道路を青で示したもの。区画整理の進行具合を水内俊雄さんが「スラムの形成とクリアランスからみた大阪市の戦前と戦後(立命館大学人文科学研究所紀要・83号)」に、大阪市役所建設局発行の事業所報からまとめたものを一覧表でまとめておられる。以下に釜ヶ崎関係だけを紹介。年月日は「事業所報」の発行年月。
- 昭和38年12月3日 馬淵、水崎、西入船の不法占拠は一掃された。地区全体では335戸、297世帯。
- 昭和39年1月10日 紛争の多発地帯である釜ヶ崎職業安定所横の道路、延長120メートル上の不法バラック24戸、38年12月26日までに2戸をのこして一掃
- 昭和40年8月30日 萩之茶屋工区東田町の火災跡立退交渉を急ぐ。建築の復旧が早く、処理に立ち後れを生じた。前回の轍を踏まぬよう鋭意努力中。
- 昭和42年4月28日 西成区東四条1丁目今宮中学校南側公園予定地上の集団不法占拠(109戸)の内20戸が全焼。バラック密集地帯としては西成区内最大の規模を形成しており区画整理事業の障害はもとより常に社会不安をもたらす根源となっている。
- 昭和44年1月16日 萩之茶屋工区の設計変更認可になる。愛隣地区労働施設等建設計画に伴う事業計画変更。
- 昭和44年6月1日 再三暴動を起こし、世間の注目をあびた愛隣地区の浄化のため、愛隣会館建設と道路整備が計画。指示のあった建物移転は完了。
- 5月 公営住宅法 制定
- 5月1日 大阪市立労働会館 開館
- 元森之宮小学校を改装して開館。9月に別館完成。10月から全館開館となる。(民生事業40年史)
- 5月17日 大阪市遺族厚生連盟 結成
- 9月8日 対日講和条約・日米安全保障条約調印(サンフランシスコ講和条約)
- 10月1日 社会福祉事業法第3章の施行にともない、大阪市福祉地区および民生安定所条例を制定
- 当時の釜ヶ崎の様子
- 1952(昭和27年に釜ヶ崎に来た人によれば、銀座通りは今の半分くらいの道幅しかなく、バラックが建ち並んでいたといいます。銀座通りの入り口付近には誰が据えたか判らない拡声器から歌謡曲が流されていたそうです。昭和29
年から2〜3年間は確実に聞いた記憶があると。
- 昭和33 年から35年の3年間、まだただの空き地であった現三角公園で、リクノがしきった盆踊りがありました。「盆踊りには、呉越同舟、社会党N 国会議員寄贈の提灯が、手配師、自民党のそれと肩をならべる。(仲村祥一・思想の科学・1961
年)」盛大なものだったようです。それまで盆踊りといえば江州音頭でしたが、その頃から鉄砲光三郎の河内音頭鉄砲節が流行りだし、目新しさと軽快さに、踊る人ばかりでなく周辺に座って聞き入る人も多く、黒山の人だかりだったといいます。
- 今宮住宅の北や東はまだ「ドヤ」もちらほらの状態で、西側には空き地があり、今のセンターに珍々堂の露店のオカキ干し場のほか南海電車高架周辺のバラックや一戸建ての家が建て込んでいたそうです。
1952(昭和27)年
- 邦寿会今宮診療院、今宮診療所と改称(済生会今宮診療所とは別物)
。
- 邦寿会今宮診療所は、海道町。現在の愛徳姉妹会・ふるさとの家あたり。済生会今宮診療所は、東田町今宮市民館から甲岸町西成市民館と移動し、医療センター開所にともない廃止。(愛徳姉妹会のシスターカッタンが再び釜ヶ崎に帰って、シスター西山、シスターカタリーナと共に邦寿会今宮診療所に居を定めたのは1970年10月ー釜ヶ崎キリスト教協友会40年史所収喜望の家編年表)
- 地区改善事業の再開
- 戦後部落解放事業は一時中断状態にあったが、昭和27年から再び地区改善事業としてとり上げることになった。同年南中学校における学童間の差別言辞が発端となり、部落解放委員会から抗議文が提出された。大阪市は、部落解放運動を積極的に推進する必要を認め、ただちに同年度追加予算80万円を計上して、同和地区の環境改善に必要な施設費補助金、トラホーム診療費、大阪市同和事業促進協議会、および大阪府同和事業促進協会補助をおこなった。(民生事業40年史)
- 4月28日 サンフランシスコ講和条約発効
- 4月30日 戦傷病者戦没者遺族援護法 公布 即日施行
- (1)旧軍人・軍属で公務上の負傷、疾病により不具廃疾となったものに対して、障害年金を支給するとともに、職業能力を回復させる目的をもって更生医療または補装具の支給を行うこと(2)公務上の負傷または疾病により死亡した者の遺族に対し、遺族年金および弔慰金を支給する、の2点が中心(民生事業40年史)
- 5月17日 社会福祉法人 大阪自彊館 設立認可 吉村 敏男 理事長就任
- 社会福祉事業法施行に伴い組織替え
- 5月31日 大阪自彊館 新生活保護法による更生施設「自彊寮」認可
- 7月 大阪市立保護施設条例制定
- 更生施設=梅田厚生館・西成寮・豊崎寮・関目家族寮。授産施設=北市民館授産所。宿所提供施設=塩草寮・東成寮。/総合施設としての弘済院は別に規定。/29年10月には宿所提供施設として此花寮建設。(民生事業40年史)
- 8月15日 大阪市民生事務取扱規則 全面改正
- 「身体障害者福祉」の章を設ける。民生安定所を第一線機関として身体障害者の福祉増進に努める。(民生事業40年史)
- 8月16日 大阪自彊館 更生緊急保護法による財団法人「和光寮」設立認可
- 大阪自彊館が社会福祉法人の認可を受けたため、保護団体の独立が必要となった。「和衷寮」を吸収
- 12月24日 大阪自彊館 「向上寮」を第二種社会福祉事業の簡易宿泊施設として届出
1953(昭和28)年
- 4月22日 大阪市未亡人会連絡会 結成
- 7月25日 青少年問題協議会設置法 公布施行
- 中央青少年問題協議会=「青少年の指導、育成、保護およびきょう正に関する総合的施策の樹立につき必要な事項を調査審議」せしめ、「総合的施策の適切な実施を期すために必要な関係行政機関相互の連絡調整」に当たらせるもの(民生事業40年史)
- 8月 恩給法の一部を改正する法律
- 軍人恩給の復活
- 8月 未帰還者留守家族等援護法 制定
- 「未帰還者が置かれている特別の状態にかんがみ、国の責任において、その留守家族に対して手当を支給するとともに、未帰還者が帰還した場合において必要な療養の給付等を行い、もってこれらの者を援護する」(民生事業40年史)
- 9月22日 大阪市未亡人連合会 結成
- 9月 民生安定所を福祉事務所と改称
- 9ブロック制から各区設置に。
- 10月15日 大阪市未亡人連合会 結成記念大会
- 大阪市および大阪市社会福祉協議会後援。「全市未亡人の福祉増進をはかり、各区未亡人会の連絡協調をおこなうため、大未連会(略称)を結成したのでこれを記念するとともに、未亡人年来の要望である母子福祉総合法の制定促進、ならびに現下の未亡人福祉対策の確立について研鑽のうえ、今後の方針確立に資せんとする」/市未亡人連合会は府未亡人会の参加になく、各区未亡人会は府市両方の団体に属していた。昭和33年4月30日、市未亡人会独立宣言。35年3月、全国未亡人団体協議会への加盟が認められる。35年12月16日、社団法人認可申請、23日認可を得る。(民生事業40年史)
- 12月 大阪市 未亡人相談所 創設
- 各小学校の校下単位に1ヶ所設置。
- 12月24日 大阪市立内職指導所規則 制定
- 授産場および市民館に内職指導所を併設、独立事業として取り扱うことになる。「内職指導所は家庭において内職を希望する者に対し、内職の斡旋および技術指導を行い、生計の補助と貯蓄の奨励に資することを目的とする」もので、利用者は原則として本市居住者とされ、「指導所による内職の斡旋を希望する者は、内職会を結成」するのを原則とし、斡旋はその内職会の責任者に委託(委託料を支給)して行う。(民生事業40年史)
- 12月24日 大阪市青少年問題協議会を設置
- あらゆる面から問題点を把握し意見を述べる機関(民生事業40年史)
- 「大阪府社会福祉事業要覧−昭和28年版」に見る地区関連施設
- 大阪自彊館 (更生施設) 西今船町5
- 役員−1人、事務員−4人、栄養士−1人、傭人−6 収容者数 191人(法該当者-98、非該当、男性のみ)(昭和28年9月末現在)
- 付帯事業:無料労働紹介事業
- 大阪自彊館 向上寮 (宿泊所提供施設) 西今船町5
- 役員−1人、事務員−3人。 昭和28年12月末現在 単身者−2人、132人(世帯)
- 大阪市立西成寮(更生施設)松通7丁目6
- 大阪市立今宮市民館 (市民館)東田町73
- 大阪市立今宮市民館保育部 (保育所)東田町73
- 施設長−1人、保母−1人、傭人−1人
- 大阪市立今宮市民館付設授産場 (授産所)東田町73
- 大阪府済生会今宮診療所(診療所)東田町73 市立今宮市民館内
- 施設長−1人、看護婦−2人
- 四恩学園乳児院 (乳児院−定員50)東入船町23
- 役員−1人、事務員−2人、指導員−1人、医師−1人、看護婦−1人、栄養士−1人、保母−9人、保母助手−4人 45人在所(昭和28年9月末現在)
- 四恩学園 (養護施設−定員80−分園とも)東入船町23
- 役員−1人、事務員−3人、指導員−1人、医師−1人、看護婦−1人、栄養士−1人、保母−3人、傭人−3人。 77人在所(昭和28年9月末現在)
- 四恩学園玉水分園 (養護施設)天王寺区逢阪下之町50
- 役員−1人、保母−3人、保母助手−4人、傭人−2人
- 四恩学園 育児相談所 (児童福祉相談施設)東入船町23
- 役員−1人、事務員−4人、医師−1人、看護婦−2人、傭人−1人
- 四恩学園診療所(診療施設) 東入船町23
- 施設長−1人、看護婦−2人
- 救世軍朝光寮 (婦人保護施設)松田町1丁目19
- 大阪市立今宮質舗 (公益質屋)花園町33
- 今宮診療所 (医療保護施設)海道町11(社会福祉法人邦寿会)
- 施設長−1人、医師−1人、看護婦−1人
- 1953年 航空写真
- ▲三角公園。今宮中学校グランドが見える。甲岸町周辺の空き地が目立つ。
1954(昭和29)年
- 大阪自彊館 宿泊保護施設「向上寮」開所
- 「和光寮」退所者への住居提供
- 3月20日 大阪市青少年対策委員会 設置
- 対策実施機関として。委員長−主管助役。副委員長−民生局長、衛生局長、市警察部長、教育長。委員−各区長、各区社会福祉協議会長、市内青少年関係団体の代表。
- 4月 大阪市 生業資金貸付基金額増額 日雇労働者生業資金枠できる
- 資金を1億2,000万円に増額。一般生業資金、遺族生業資金、日雇労働者生業資金の3本建てとした。日雇労働者生業資金は日雇労働者が常用労働者として就職した場合、6,000円を限度として日歩1銭で貸し付けるもので、償還期間は6ヶ月。民生局の臨時失業対策委員会事務室が取り扱う。(民生事業40年史)
- 昭和29年頃の三角公園
- 6月 大阪市 臨時失業対策委員会事務室を失業対策課に改める。
1955(昭和30)年
- 3月1日 大阪自彊館 「向上寮」を生活保護法、更生緊急保護法により収容した人達の保護期間満了者の宿泊保護施設とする。
- 4月 大阪市同和問題研究会 設置
- 地区改善事業を適正かつ効果的に展開するための研究調査機関。
- 4月1日 西淀川区に市立身体障害者収容授産所を開設
- 「身体障害者で雇用されることの困難な者または生活に困窮する者などを収容して必要な訓練を行い、医療の相談に応じ、職業をあたえて自活できるようにすることを目的」とする。(民生事業40年史)
- 4月3日 大阪市 市域拡張
- 北河内郡茨田町、中河内郡巽町、同長吉村、同瓜破村、同矢田村、同加美村の6ヶ町村がの区域が大阪市に編入された。茨田、巽、瓜破、加美の4ヶ町村ではすでに国民健康保険事業が実施されていたので、大阪市でもこれを継続実施することとし、翌31年3月31日、大阪市の一部区域の国民健康保険に関する条例および同規則を制定、民生局庶務課に国民健康保険係を新設(民生事業40年史)
- 4月 今宮市民館改築移転、西成市民館と改称 (徳風勤労学校の講堂→西成日傭勤労署→西成市民館)
- 40年4月 社会課所管。41年2月 付設保育所は東田保育所と改称分離(児童課所管) 改修費 4,042,942円

- 4月 市立今宮市民館保育所を市立西成市民館附設保育所と改称
- 6月 浪速市民館 建設 内職指導所併設
- 内職指導所12ヶ所(中央・西淀川・阿倍野・生野・旭・北・城東・西成・福島・東成・浪速・此花)となる。(民生事業40年史)
- 12月 大阪市同和教育研究会
- 同和教育についての研究調査事業開始。
- 12月 長柄宿泊所を民間団体に経営委託(委託先 大阪市民援護事業団)
- 梅田厚生館おける相談及び送致数の推移
-
『送致は21・22年に多く両年度で17,004人となっており、23年度からは半数となっている。これは引揚者、復員者、戦災者の問題は表面上ある程度解決したと理解できることをしめすものであろう。25年からはじまった朝鮮戦争によってこの数はさらに減ずるのであるが、戦争終結とともに不況時代に入って29年度には激増し、8,000人を超えている。
- 相談件数では21年22年ごろは送致件数をやや上まわっている程度であるが、 25年度と29年度では、収容保護以外の相談が多くなり、送致を行ったケースは
23年ごろから少なくなって、29年度に多くなっている。このことは 23年ごろから一応の戦災処理がなくなったことをしめすと考えられ、29年の送致の増加は不況によるものと推測される
』
- 『再保護ケース(2度以上保護を受けた人)は、昭和33年の9%が37年には38 %、40年末では50%をこえているのである。30年代における量的な安定と、30年代後半における再保護ケースの増加は、日常的な状況における大阪市を中心とした社会が生み出す脱落者層の実態を示すものであろう。』(336
頁)
- 『30年代になると大阪市の「浮浪者」はしだいに「釜ガ崎」に集中し、戦後いちはやく建てられた簡易旅館とこの周辺地区に建てられたかり小屋の居住者とともに、「スラム地区」を形成し、北の大阪駅周辺の整備とともに「浮浪者」対策の中心はこの南の「釜ガ崎」に移った。』
1956(昭和31)年
- 3月 大阪自彊館 お年玉年賀はがき寄付金振興会借入金により宿舎1棟を増改築
- 4月 大阪市地域改善事業審議会 設置
- 4月 大阪市 青少年指導委員および青少年福祉委員依嘱
- 青少年指導委員=各区の町赤十字奉仕団ごとに1名を原則として配され、民生委員、保護司、赤十字奉仕団、婦人会、PTAなどの代表者で構成する青少年福祉委員が選考、区長の推薦によって市青少年問題協議会長(市長)が依嘱。その任務は、地域における青少年福祉事業の企画、問題青少年の補導、青少年をとりまく悪環境の浄化、青少年団体の育成、その他の青少年福祉活動。
- 青少年福祉委員=地域における青少年活動の企画者となり、また若い青少年指導員の活動を助け、各関係団体との連絡調整を図るため設けられたもの。民生委員、保護司、赤十字奉仕団、婦人会、PTA、青年会、防犯協会、学校長などの役職員を依嘱。(民生事業40年史)
- 5月 売春防止法 制定 施行は32年4月
- 刑事処分に関する規定は33年4月から
-
| |
地区 |
業種別 |
業者数 |
売春婦数 |
| イ 赤線地帯 |
飛 田 |
待 合 |
197 |
1,350 |
| 松 島 |
待 合 |
157 |
820 |
| 計 |
357 |
2,170 |
| ロ 青線地帯 |
飛田周辺 |
旅 館 |
113 |
180 |
| 大阪駅周辺 |
小料理店
飲食店 |
18 |
40 |
大淀区
(天六、青山町) |
娼 家 |
15 |
20 |
| 計 |
146 |
240 |
ハ
売春容疑者
ならびに
婦女 |
西 成 |
旅館・下宿屋
娼家 |
73 |
140 |
| 都 島 |
旅 館 |
7 |
20 |
| 南 |
旅館・娼家 |
9 |
60 |
| 港 |
旅館
小料理店 |
3 |
7 |
| 住 吉 |
小料理店 |
11 |
20 |
| 天王寺 |
旅館
カフェー |
12 |
60 |
| 阿倍野 |
旅館・娼家 |
4 |
15 |
| 旭 |
小料理店 |
1 |
5 |
| 生野 |
娼 家 |
5 |
12 |
| 曾根崎 |
娼 家 |
17 |
75 |
| 浪 速 |
旅館
飲食店 |
12 |
55 |
| 計 |
155 |
469 |
▲売春業者および婦女分布状況(31.4.30調)(民生事業40年史)
- 5月 大阪市立梅田厚生館大阪駅東側高架基礎補強工事のため近くの北区小深町11に移転

- ▲左写真は「大阪市民生事業史」。右写真は「民生事業40年史」。「大阪市民生事業史」にも同じ写真があるが、写真説明は、昭和31年移転梅田厚生館の内部となっている。
- 5月 長柄宿泊所に長柄寮併設(定員160人 長柄寮は生活保護法による宿提施設)
- 9月1日 大阪市 政令指定都市と指定される
- 10月 大阪市民生局、事務移譲に備え職制を整備拡充(生活科新設)
- 10月 大阪市子供会連合協議会 結成
- 子供会の連絡協議機関。子供会指導者講習会の実施、指導理念、ゲーム・ソング指導法、手品、童話などの専門技術の講習等を行う。(民生事業40年史)
- 11月1日 地方自治法施行令第8章大都市等に関する特例
- (地方自治法の一部改正にともない、従来府県の事務とされていた児童福祉事業が指定都市に委譲され、昭和31年11月1日に中央児童相談所が浮浪児の収容にあたることになった。/医療保護連絡協議会を大阪市医療扶助審議会として新発足/大都市特例により、生活保護法第73条も適用されないこととなった。。
生活保護法第七十三条 都道府県は、政令の定めるところにより、次に掲げる費用を負担しなければならない。/一
居住地がないか、又は明らかでない被保護者につき市町村が支弁した保護費、保護施設事務費及び委託事務費の四分の一/二 宿所提供施設又は児童福祉法 (昭和二十二年法律第百六十四号)第38条 に規定する母子生活支援施設にある被保護者(これらの施設を利用するに至る前からその施設の所在する市町村の区域内に居住地を有していた被保護者を除く。)につきこれらの施設の所在する市町村が支弁した保護費、保護施設事務費及び委託事務費の四分の一/身体障害者福祉関係事務の大阪市への移管。当時の身体障害者手帳交付数は12,339人。大阪市身体障害者福祉法施行規則など制定。大阪市身体障害者福祉審議会設置。(民生事業40年史)
- 昭和31年 萩之茶屋 広田神社祭礼の山車
- 11月 大阪市立身体障害者更生相談所 設置
- 大阪市立大学医学部附属病院内(昭和33年11月に東市民病院内に移転)。身体障害者福祉法第11条に定める更生指導機関。更生医療の給付、補装具の交付等の医学的判定、身体障害者の心理更生を図るための心理判定、残存職業能力および適職判定などの科学的判定が主業務。(民生事業40年史)
1957(昭和32)年
- 1月 学生ボランティア協会 結成
- 昭和31年4月に開催された大阪市青少年福祉大会に出席した奈良女子大学の中田百合子さんの発言を契機とし、市青少年問題協議会の力添えによって。学生の持つ知識、経験、技能、時間を提供し、社会を少しでも明るくする自主的な愛の奉仕活動をモットーに市内および市周辺地区の大学の学生を中心として活動するようになった。(民生事業40年史)
- 1月 大阪市 大阪の代表的問屋街である松屋町筋に働く青少年を対象として、余暇利用調査
- 大阪は商都であり、中小企業の多い都市でもある。毎年春には西日本や北陸の各県から3万人にのぼる青少年が集団就職してくるが、彼等の大半は中小企業や個人商店に就職する人たちであり、福祉厚生の面においては十分といえない。そこで本市では、週休体制の実施勧誘などを行うとともに、青少年対策の重点目標を次第にこれら勤労青少年の福祉増進に移行させるようになった。(民生事業40年史)
- 3月 大阪市 婦人相談員を任命
- 梅田(梅田厚生館内)、港(港区役所内)、天王寺(天王寺公園内)、浪速(浪速区役所内)、西成(西成区役所内)、青島寮の6ヶ所に簡易婦人相談所を設置、要保護女子の保護更生に当たる。/青島寮=婦人保護施設として昭和32年5月1日に開設。元警察寮を改装したもの。「売春防止法による要保護女子を無料で宿泊せしめて、これに必要な保護、指導および訓練等を行い、もって速やかな更生を図ることを目的」とする。(民生事業40年史)
- 3月8日 日本が国際連合に加盟
- 5月 大阪市勤労青少年巡回文庫 設置
- 問屋筋の週休体制実施にともない余暇の有効な利用促進を図るため、船場など5ヶ所に。その後、昭和33年11月の勤労感謝の日に丼池問屋街など5ヶ所に増設。35年5月には市内22区の工業会、商店街連盟の協力のもとに22区にも設けられた。(民生事業40年史)
- 5月 引揚者給付金等支給法 制定
- 引揚者給付金および遺族給付金の支給
- 5月9日 大阪市遺族厚生連盟 大阪市遺族会と改称
- 6月 大阪市老人クラブ連合会 結成
- 老人クラブ数および会員数が増加し、老人クラブ間の連絡協調をはかるため。
- 7月 大阪市働く青少年映画友の会 設置
- 大阪興行協会および映画館主の協力を得て友の会会員証で映画鑑賞の学生なみ割引の実施。(民生事業40年史)
- 12月 青少年の心に灯をともす運動が市民運動として展開され始める。
- 例年くりひろげられるクリスマス・イヴのらんちき騒ぎを防止し、明るい茶の間運動による「クリスマスは家庭で」の呼びかけ等を実施し、オールナイト禁止の大きな推進力となった。この運動は各方面に多大の反響を呼び、民間団体、市民からも数々の協力が寄せられ、市立藤沢会館、通天閣ユースセンター、加美ユースセンターなどの誕生をみたほか、大阪市仏教会の協力によって数多くの寺院が寺院ユースセンターとして青少年のために開放された。(民生事業40年史)
1958(昭和33)年
- 4月 西成簡易婦人相談所開設(55.4.廃止)
- 4月 大阪市 家庭奉仕員派遣制度 創設
- 33年10月の大阪市民生委員制度40周年記念事業の一つとして。「生活に困窮する独居の老人が、老衰その他の理由により、日常生活に支障をきたしている場合に、家庭奉仕員を派遣して身廻りの世話その他の必要なサービスを行い、日常生活上の便益を供与することを目的とする。」市民生委員連盟に委託、実施。家庭奉仕員の業務内容は、洗濯、掃除、縫物等身廻りの世話のほか、必要に応じ看護その他のサービス。(民生事業40年史)
- 6月 大阪市 弘済院に緊急救護施設を建設
- 専ら精神病院退院者を収容して社会復帰のための訓練と指導に当たる(民生事業40年史)
- 7月13日 市立藤沢会館 会館
- 藤沢薬品工業株式会社より府下和泉市信太山にある社長(藤沢友吉氏)別邸を青少年のために提供されたものを改装し、青少年福祉施設として開館したもの。宿泊設備(宿泊定員100名)もととのえている。(民生事業40年史)財団法人大阪市民共済会に経営委託。
- 7月15日 大阪自彊館 生活保護法による指定医療機関として「大阪自彊館診療所」認可開設
- 10月17日 通天閣ユースセンター 発足
- 通天閣観光株式会社によって、その地下室を青少年のために開放されたものを、大阪市が改装して「通天閣ユースセンター」として発足したもの(民生事業40年史)財団法人大阪市民共済会に経営委託。
- 10月 大阪市 和泉市伯太に信太山老人ホーム開設。
- 11月5日 大阪市保護施設連盟 結成
- 大阪市監督下にある24施設を構成メンバーとして、相互の横の事務連絡を円滑にするとともに、収容者の対する処遇問題その他保護事務全般にわたる研究、見学等を行い、もって収容者の福祉増進に拍車をかけ、併せて、各関係機関とも緊密な連絡をはかり、保護行政の完璧を期すため(民生事業概要・昭和36年度)
-
| 種類別 |
加入数 |
内訳 |
| 市立 |
民間 |
| 養老施設 |
5 |
2 |
3 |
| 救護施設 |
1 |
1 |
0 |
| 更生施設 |
9 |
6 |
3 |
| 宿所提供施設 |
5 |
4 |
1 |
| 医療保護施設 |
4 |
2 |
2 |
| 計 |
24 |
15 |
9 |
- 12月 国民健康保険法 全面改正
- 政府の国民皆保険計画に沿ったもの。翌年1月1日から施行。全国市町村に国民健康保険事業の実施を義務づけるとともに国の財政負担関係を法律上で明確にするなどにより、斯業の全国普及を軌道にのせ、被用者保険の体系と相まって国民皆保険体制の基盤を確立した。(民生事業40年史)昭和36年4月1日までに事業実施の義務づけ。
1959(昭和34)年
- 4月 国民年金法 公布
- 9月に経過的無拠出(福祉)年金の取り扱いを開始、昭和35年10月、拠出年金の加入届出事務の取扱を始め、36年4月から全面施行の運びとなった。(民生事業概要・昭和36年度版)
- 7月 大阪市民生局 国民健康保険課、青少年課新設
- 国民健康保険実施準備と国民年金制度発足に伴う措置。また、激増する青少年問題に対処するため。
- 7月 西成市民館「学童保育会」始まる
- 8月 大阪社会学研究会(昭和33年4月発足)「第1次釜ヶ崎調査」
- 9月1日 社会福祉会館 開館。
- 元社会福祉法人愛国病院が解散、大阪市に建物を寄贈。市制70周年記念事業として改装し、社会福祉会館に転用することとなった。(民生事業40年史)
- 9月21日 大阪市 在日朝鮮人帰還業務開始
- 各区の窓口で受け付け。こんどの帰還問題で最も重要視されていることは「居住地選択の自由」という基本的人権の実現に留意されていること、帰還申請については、あくまでも本人のまったく自由な意志によってなされるよう計られていること、また、帰還者は帰還特別列車に乗ってから乗船するまで完全に日本赤十字社の保護下におかれるということなど。昭和36年6月5日までの帰還者は1,723世帯 6,285名。(民生事業概要・昭和36年度版)
- 10月23日 東京山谷で、労働者約300人が、都電山谷停留所前のポリ・ボックスをたたきこわし、パトカーを炎上させた。
- これを第1次山谷暴動とする説と、その翌年からの山谷暴動の導火線と位置付け、暴動の数に入れない説がある。東京都労働局の「山谷事件記録」は、1960年1月1日の事件を第1次としている。(「山谷ドヤ街・神崎清・1974年・時事通信社)